Relacja z zarybiania łowiska nr 522 Rajsko

Piotr Lesiak Sekretarz Koła nr 76 FAP Tychy

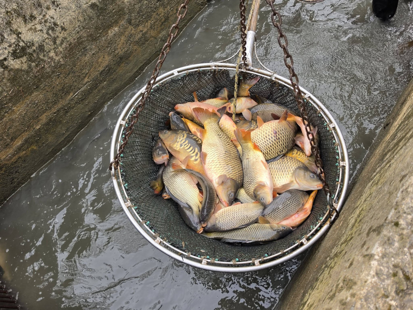
Przedstawiamy relacje z zarybiania naszych stawów Tęczak1 i Tęczak2, które odbyły się w dniach 25.03.2026 r. i w dniu 02.04.2026 r..

Do wody wpuściliśmy około 750 kg Karpia, 130 kg szczupaka, kilka sztuk jazia oraz 7 sztuk jesiotra.

Uwaga: jesiotry są pod ochroną – obowiązuje całkowity zakaz ich zabierania!

Celem zarybienia jest uatrakcyjnienie łowiska oraz odbudowa populacji ryb.

Prosimy wszystkich wędkarzy o przestrzeganie zasad i dbanie o nasze wspólne łowisko!

Połamania kija!

12 Komentarzy

    Chcesz dodawać komentarze?

    Zaloguj się, aby otrzymać dostęp do dodatkowych funkcjonalności serwisu.